Beekeprojekt

Rufen Sie uns an:
04263 / 30 25 76
Schreiben Sie uns:
info@beekeprojekt.de
Direkt zum Seiteninhalt


Baugrundstücke zu verkaufen
Planung und Erschließung von Baugebieten
Beekeprojekt GmbH & Co. KG

Wir bieten Ihnen Baugrundstücke in den Regionen Heidekreis und Rotenburg an.
Wir planen, erschließen und vermarkten Ihr Baugebiet.
Erschlossen und verkauft:
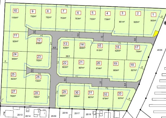
Neubaugebiet Walsrode
Honerdingen, Vor dem Balken 2
Grundstücksart:
Allgemeines Wohngebiet
Grundstücke:
33 Stück
Grundstücksflächen:
603 - 1184 qm
Bauweise:
Einzelhäuser
Doppelhäuser mit 2 WE
Hausgruppen mit 3WE
Grundflächenzahl:
0,3 GRZ
Geschosse:
max. 1 Geschoss
OKG 11m
Bebaubar ab:
01.08.2020
Kaufpreis:
ab 53.600 €
Wir erschließen und vermarkten Ihr Neubaugebiet!

Bei der Erschließung von Wohn- und Gewerbegebieten gehen die Kommunen immer öfter, nicht nur wegen ihrer angespannten Haushalts- und Personalsituation, neue Wege. Durch die Kooperation mit einem leistungsfähigen und verlässlichen Erschließungsträger ist eine schnelle Umsetzung sowie eine Entlastung des Haushalts gewährleistet.

Privaterschließung
Die Erschließung von Baugebieten ist gemäß Baugesetzbuch grundsätzlich Aufgabe der Gemeinden. Jedoch eröffnet der Gesetzgeber den Kommunen die Möglichkeit, die Erschließung auf Dritte, beispielsweise private Erschließungsträger, zu übertragen. Dies trifft sowohl für die Entwicklung von Wohn- als auch Gewerbegebieten zu. Aus der engen Zusammenarbeit mit privaten Erschließungsträgern entstehen den Gemeinden vielfältige Vorteile im Rahmen einer privat-öffentlichen Partnerschaft.

Projektabwicklung
Die Beekeprojekt GmbH & Co. KG bietet als kommunaler Erschließungsträger eine schnelle, wirtschaftliche und kurzfristige Umsetzung der projektierten Baulanderschließung. Wir entwickeln in Zusammenarbeit mit Planungs- und Ingenieurbüros ein wirtschaftliches und ressourcen-schonendes Flächenmanagement für eine hochwertige Erschließung Ihrer Baugebiete.
DIE VORTEILE FÜR DIE KOMMUNEN
Die Vorteile für die Kommunen bei einer Erschließung durch die Beekeprojekt GmbH & CO. KG sind vielfältig:
- Die Gemeinde spart den 10%igen Eigenanteil,
- Mitarbeiter in der Gemeinde-Verwaltung werden entlastet,
- keine Bindung der Beekeprojekt GmbH & CO. KG an die VOB/A und damit Nachverhandlungsmöglichkeit,
- deutlich kürzere Realisierung der Maßnahme durch straffes Projektmanagement,
- Kosteneinsparung durch wirtschaftliche Planung und Kostenkontrolle,
- Finanzielle Abwicklung über die örtliche Bank, falls gewünscht
- Gemeinde hat nur einen Ansprechpartner,
- Vermarktung der Grundstücke.

Obwohl die gesamte Abwicklung der Erschließung in den Händen der Beekeprojekt GmbH & CO. KG liegt, behält die Kommune während der Planungs- und Ausführungsphase jederzeit die Möglichkeit, regelnd einzugreifen. Alle wichtigen Maßnahmen werden mit der Gemeinde abgesprochen und auf der Grundlage eines gemeinsamen Vertrages ausgeführt.

Created by Beekeprojekt GmbH & C0. KG
Zurück zum Seiteninhalt